Transforming Land into Purposeful,
Thriving Texas Communities
Our projects are driven by strong partnerships, deep local insight, and decades of experience in residential land development and planning excellence.
Cibolo Valley Heights
Cibolo Valley Heights
Cibolo Valley Heights is a unified residential community shaping Cibolo’s future through strategic land planning and development.
- Market research and feasibility evaluation
- Collaboration with city and engineering partners
- Strong foundation for upcoming home sales
Sulphur Springs
Sulphur Springs
Sulphur Springs is a large-scale manufactured housing community redefining affordable living through expert coordination and planning.
- Strategic land acquisition and entitlement
- Collaboration with environmental and zoning authorities
- Planned 321-unit gated residential layout
The Paddock at Green Valley
The Paddock at Green Valley
The Paddock at Green Valley is a residential development focused on land entitlement and community growth in Schertz.
- Consulting for planning and coordination
- Seamless builder and city communication
- Land entitlement and infrastructure support
Estates @ Lower Seguin
Estates @ Lower Seguin
Estates @ Lower Seguin is a planned 73-lot community designed to expand residential living in Schertz, Texas.
- Strategic entitlement and zoning coordination
- Infrastructure planning for 70’ wide lots
- Builder-focused development preparation
Estates @ Jordans Ranch
Estates @ Jordans Ranch
Estates @ Jordans Ranch is a 50-lot residential community extending South San Antonio’s growing neighborhood corridor.
- Entitlement and development coordination
- Extension of existing neighborhood footprint
- Focused on high-quality housing delivery
San Marcos River Road
San Marcos River Road
San Marcos River Road is a planned residential development balancing modern living with natural riverfront surroundings.
- Early planning and entitlement management
- Sustainable and nature-focused layout
- Environmentally responsible development approach
Peaceful Lane Duplexes
Peaceful Lane Duplexes
Peaceful Lane Duplexes is a multi-family residential community enhancing Converse’s housing options with quality duplex design.
- Zoning and annexation coordination
- Managed entitlement and city approvals
- Focused on community-oriented housing growth
Randolph Landing aka (FM 1346)
Randolph Landing aka (FM 1346)
Randolph Landing is a 78-lot residential development near Loop 1604, meeting suburban demand through planned community design.
- Engineering and entitlement coordination
- Utility and traffic flow optimization
- Strategic location for suburban connectivity
Bella Rosa
Bella Rosa
Bella Rosa is a 60-lot community in Cibolo that strengthened local housing growth through efficient land development.
- Property acquisition and zoning enhancement
- Development of additional adjoining lots
- Expanded partnership with national homebuilder
Mesquite Ridge
Mesquite Ridge
Mesquite Ridge is a 50-acre residential project transforming raw land into a thriving single-family community.
- Entitlement and design coordination
- Partnership with engineering and homebuilder teams
- Delivered ready-to-build residential lots
Everly Estates
Everly Estates
Everly Estates is a 92-acre residential community delivering premium half-acre homesites across Northeast San Antonio.
- Full project management and coordination
- Completed under budget and ahead of schedule
- Strong builder and engineering collaboration
Estates @ Annabelle Ranch
Estates @ Annabelle Ranch
Estates @ Annabelle Ranch is a 30-lot community built efficiently with precision planning and high construction standards.
- Early entitlement and infrastructure planning
- Contractor coordination for smooth delivery
- Completed ahead of time and under budget
Preserve @ Annabelle Ranch
Preserve @ Annabelle Ranch
Preserve @ Annabelle Ranch is a 21-lot expansion project extending the successful Annabelle Ranch neighborhood.
- Managed planning and entitlement stages
- Partnered with top regional builder
- Completed and closed all residential lots
Rosewood
Rosewood
Rosewood is a residential rental community in New Braunfels built through strategic land acquisition and partnership.
- Coordinated full-site development and engineering
- Focused on rental housing community planning
- Delivered efficient and high-quality layouts
Arbors @ Fair Oaks
Arbors @ Fair Oaks
Arbors @ Fair Oaks is a partnership-led residential project showcasing efficiency and management precision.
- Full contractor bidding and coordination
- Completed on time despite weather delays
- Strengthened long-term development partnerships
Spring Grove
Spring Grove
Spring Grove is a 95-lot subdivision delivered as an entitled land opportunity for residential development.
- Managed entitlement and paper lot sale
- Strategic collaboration with major builder
- Integrated seamlessly into existing neighborhoods
Wurzbach Road
Wurzbach Road
Wurzbach Road is a duplex residential community supporting urban housing demand near San Antonio’s Medical Center.
- Entitlement and infrastructure coordination
- Efficient urban land use management
- Delivered on strict project timelines
John Yantis Center
John Yantis Center
John Yantis Center is a 33,000-square-foot Class A office project built and managed for long-term success.
- Interior design and space buildout
- High-value lease with Frost Bank
- Sold profitably during market recovery
Dollar General
Dollar General
Dollar General Distribution Center is a 1M sq. ft. industrial infrastructure project completed on time and within budget.
- Large-scale grading and pad development
- Utility installation and project coordination
- Managed construction efficiency and deadlines
Alamo Ranch
Alamo Ranch
Alamo Ranch is an $80M multi-phase residential development setting benchmarks for large-scale community planning.
- Long-term project and infrastructure coordination
- Collaboration with multiple regional builders
- Landmark success in community development
Silver Canyon
Silver Canyon
Silver Canyon is a 550-lot master-planned community developed through strategic coordination and builder collaboration.
- Land banking and entitlement management
- Infrastructure and authority coordination
- Delivered strong builder profitability results
Garcia Tract
Garcia Tract
Garcia Tract is a 150-acre entitlement project focused on infrastructure collaboration and efficient land management.
- Multi-party water infrastructure coordination
- Joint development agreements and compliance
- Successfully transitioned property for industrial use
Bulverde Point
Bulverde Point
Bulverde Point is a mixed-use land project adapted for educational and commercial development opportunities.
- Managed rezoning and entitlement process
- Property sale to Great Hearts Charter School
- Corner plots developed into retail center
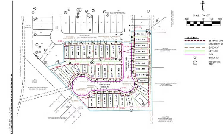
Blue Ridge
Blue Ridge
Blue Ridge Ranch Unit 7 is a 37-lot residential development delivered efficiently through builder collaboration.
- Paper lot acquisition and preparation
- Expedited project execution timeline
- Delivered lots to national homebuilder










